This website requires JavaScript.
Explore
Help
Register
Sign In
vh
/
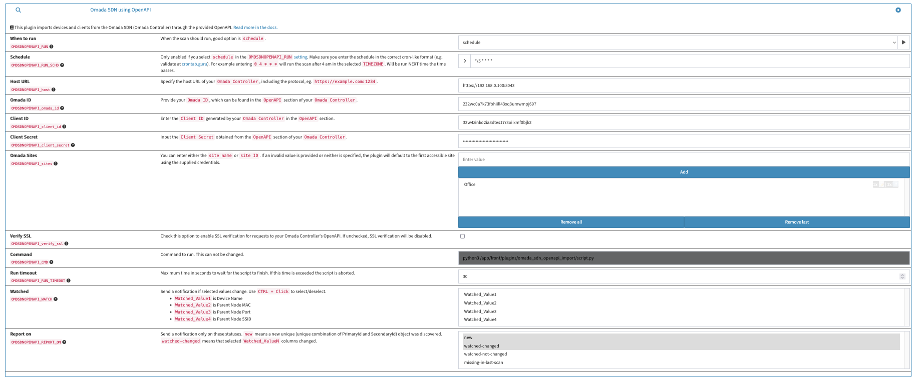
NetAlertX
Watch
1
Star
0
Fork
0
You've already forked NetAlertX
mirror of
https://github.com/jokob-sk/NetAlertX.git
synced
2025-12-07 09:36:05 -08:00
Code
Issues
Actions
Packages
Projects
Releases
Wiki
Activity
Files
af6394a3345e9aeb3211e853bacf444bff556ab4
NetAlertX
/
front
/
plugins
/
omada_sdn_openapi
/
omada_sdn_openapi_settings.png
xfilo
52de3ae872
OMDSDNOPENAPI - Updated example image in README.md
2025-02-24 11:36:55 +01:00
176 KiB
Executable File
1831x762px
Raw
History