This website requires JavaScript.
Explore
Help
Sign In
vh
/
NetAlertX
Watch
1
Star
0
Fork
0
You've already forked NetAlertX
mirror of
https://github.com/jokob-sk/NetAlertX.git
synced
2026-04-03 00:31:35 -07:00
Code
Issues
Actions
4
Packages
Projects
Releases
Wiki
Activity
Files
5a65d807a87c0a612f72cfb82a5603f71ffdde78
NetAlertX
/
front
/
plugins
/
omada_sdn_openapi
/
omada_sdn_openapi_settings.png
xfilo
52de3ae872
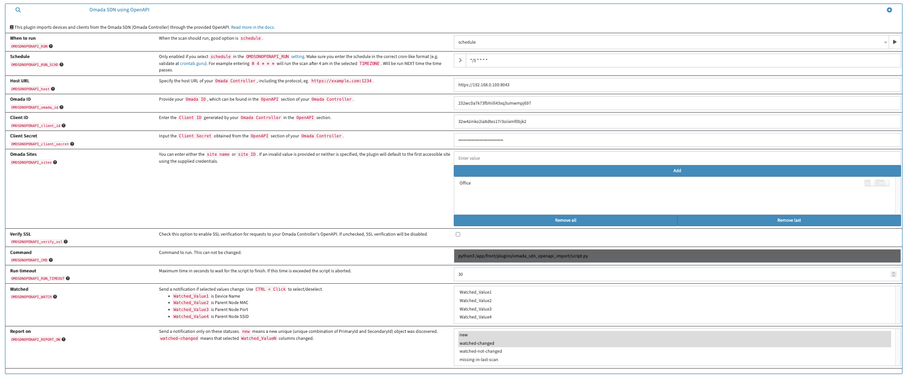
OMDSDNOPENAPI - Updated example image in README.md
2025-02-24 11:36:55 +01:00
176 KiB
Executable File
1831x762px
Raw
History
Reference in New Issue
View Git Blame
Copy Permalink